마린피싱 출조점 / 명진2호
[여수 마린피싱-명진호] 낮부터 왕사미가 줄을타~ / 2월7일 입항 볼락,열기 조황 / 9(일) 12시 출항 예약중~ / 매…
페이지 정보
마린피싱 작성일20-02-07 15:11 조회5,186회 댓글0건- 카테고리 구분: 볼락류조황
- 출조일시: 2020-02-06
- 물때: 5물~6물
- 낚시어종: 볼락,열기,우럭
- 인원: 13
- 기상: 좋음
본문
[2월 7일 입항 / 야간 볼락,열기 조황 소식]
안녕하세요 마린피싱 박종일입니다.
몇일 바람이 불어 쉬다 좋은 기상속에 힘차게
출발을 하였습니다.
포인트 도착 후 줄을 내리자마자 이곳저곳에서
줄을 탑니다. 우당탕탕~~
잘물다 집어등 켜니 잠시 소강상태가 이어지다가
밤 묵을려고 준비하니 또 줄을 탑니다.
이제 물때도 상관 없어 지는것 같습니다.
여기저기 부지런히 포인트 옮겨가며 즐거운
낚시를 하고 철수길에 올랐습니다.
7,8일은 바람이 많아 쉬고 9일 출항하겠습니다.
낮에 씨알좋은 넘들이 줄을 타주니 당분간은
12시 30분경 출항하겠습니다.
밤새 낚시하느라 고생하셨습니다.
스케줄보시고 언능 예약하세요^^
금,토,일은 조기 마감 될수 있습니다.
왕볼락,대왕열기,괴물우럭,못난쏨뱅이
잡으러 부지런히 다니겠습니다.
어초,자연초,침선 보물창고 털어~
- 날이 많이 차졌습니다. 따뜻한 여벌옷 챙기세요^^
[본격 대물시즌의 시작]
출조계획이 있으신분께서는 미리일정을잡아 예약해주세요~!! .*^.^*
저희 마린피싱(명진호)는 항상 최선을 다해 모시겠습니다.
☎ 출조.예약문의 : 점장 010-6683-4490
▣ 출조 계획
2/ 1 (토-한조금) : 볼락,열기,우럭/야간 - 정상출항
2/ 2 (일-1물) : 볼락,열기,우럭/야간 - 정상출항
2/ 3 (월-2물) : 볼락,열기,우럭/야간 - 결항/조황우려
/ 4 (화-3물) : 볼락,열기,우럭/야간 - 결항/기상악화
2/ 5 (수-4물) : 볼락,열기,우럭/야간 - 결항/기상악화
2/ 6 (목-5물) : 볼락,열기,우럭/야간 - 정상출항
2/ 7 (금-6물) : 볼락,열기,우럭/야간 - 결항/기상우려
2/ 8 (토-7물) : 볼락,열기,우럭/야간 - 결항/기상우려
- 12시 30분 출항 ~ 익일 02시 입항(유동적)
2/ 9 (일-8물) : 볼락,열기,우럭/야간 - 예약중
2/10 (월-9물) : 볼락,열기,우럭/야간 - 예약중
2/11 (화-10물) : 볼락,열기,우럭/야간 - 예약중
2/12 (수-11물) : 볼락,열기,우럭/야간 - 결항/기상악화
2/13 (목-12물) : 볼락,열기,우럭/야간 - 예약중
2/14 (금-대객기) : 볼락,열기,우럭/야간 - 예약중/9석
2/15 (토-아침조금) : 볼락,열기,우럭/야간 - 예약중/4석
2/16 (일-한조금) : 볼락,열기,우럭/야간 - 예약중/8석
☞ 예약완료 -> 변동 있을수 있으니 연락주세요^^
기상만 허락한다면 인원상관없이 매일 출항 합니다.
자선장(선주겸선장) 선사의 끝까지 최선을 다하는
모습을 보여드리겠습니다.^^
* 갈치낚시 [셔틀버스 운영중]편안히 오세요^^
- 서울,경기 방향 :
- 대전,충청 방향
- 부산,경남 방향
☎ 셔틀버스 문의 : 점장 010-6683-4490
▣ 조황 사진
- 쿨러를 배앞으로 모아 전체사진찍는것은 앞으로 자제하겠습니다.
사무장님도 너무힘들고 도와주시는 손님(조사님)들도 힘듭니다.
이해 부탁드립니다.
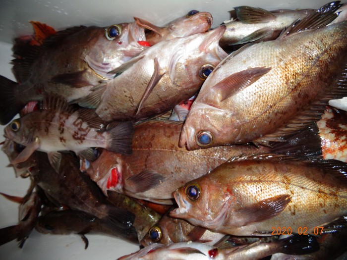
[2월 7일 입항 볼락,열기 외줄낚시 조황사진]
▣ 출조 안내
*출 조 선 비 : 연도권 - / 원도권 -
*낚 시 시 간 :
- 야간낚시 : 출항 - 13시~15시 / 입항 - 익일 05시~06시
- 주간낚시 : 출항 - 03시~05시 / 입항 - 17시~19시
*개인 준비물 : 외줄선상낚시대, 전동릴, 추 100호,면장갑, 미끼(청개비,오징어,크릴) 등
*선사 대여 : 전동릴,(1만원),낚시대(1만원),쿨러(1만원-입항후 스티폼박스1개 제공)
*선사 제공 : 2식&야식or조식(연도권은 상황따라 변경될수있음),음료,물,라면,커피,얼음 등
*선사 판매 : 외줄카드, 봉돌(추), 오징어 등 (청개비,미꾸라지는 개인지참 - 예약시 주문가능)
*참조 사항 : 미끼(청개비) 인당 500g 이상, 카드채비 15개, 추(봉돌) 15개 이상 권장
1권역 -> 연도,작도,간여,금오 (연도권)
2권역 -> 거문,삼부,백도,역만 (원도권)
3권역 -> 황제,청산,여서,사수 (원도권)
*[셔틀버스 운영중]편안히 오세요^^
- 서울,경기 방향 : 월,수,금 정기운행
- 대전,충청 방향
- 부산,경남 방향
☎ 셔틀버스 문의 : 점장 010-6683-4490
▣ 준수 사항 [생활화하는 낚시인이 됩시다^^]
- 신분증 반드시 지참 (미지참시 승선불가)
- 승선시 구명조끼 반드시 착용
선내 구비(해상안전사고 예방을 위해 필수착용)
- 선내 음주 불가
- 멀미약은 개인지참
(약사법위반"공문송달"으로 부득히 제공 불가)
▣ 예약 및 자리배정
- 예약을 미리하는 센스!!! 선입금 하는 매너!!!
- 자리청탁은 받지 않겠습니다.
- 자리 배정 : 뽑기 원칙입니다.
2일이상 장기 우선자리 배정
5인이상 단체 우선순입니다.
(1~5, 6~10 일렬 한줄 배정 원칙)
▣ 마린피싱 안내
☎ 출조.예약문의 : 점장 010-6683-4490
* 주소(네비) : 전남 여수시 소호2길 10(소호동)
*계좌번호 : 수협 2010-0863-4455 예금주 : 박종일
*홈페이지 : http://www.marinfishing.com
*네이버밴드: https://band.us/@marin
댓글목록
등록된 댓글이 없습니다.








