마린피싱 출조점 / ♣ 마린피싱 1호(시랜드)
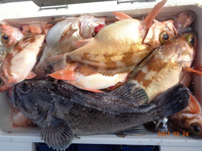
골고루 많이 잡아왔습니다.씨알도 굿~!!입니다.
페이지 정보
마린피싱 작성일21-02-24 17:45 조회4,251회 댓글0건- 카테고리 구분: 볼락류조황
- 출조일시: 2021-02-24
- 물때: 5물
- 낚시어종: 열기/볼락
- 인원: 15
- 기상: 바람약간
본문
한동안 좋지않은 기상으로 정말 오랫만에 출조를 다녀왔습니다.
밤볼락+낮열기로 출조 하였으나 볼락이 많이 나오지않아
밤에도 열기 위주로 낚시를 하였습니다.
씨알좋은 열기, 볼락 , 우럭 , 쏨뱅이, 쥐치, 고등어 , 어종도 골고루
나오고 양도 많이 잡아왔습니다.
밤새고 낮열기까지 하시느라고 고생 많으셨습니다^^
▣ 출조 안내
*출 조 선 비 : 연도권 - / 원도권 -
*낚 시 시 간 :
- 야간낚시 : 출항 - 13시~15시 / 입항 - 익일 05시~06시
- 주간낚시 : 출항 - 03시~05시 / 입항 - 17시~19시
*개인 준비물 : 외줄선상낚시대, 전동릴, 추 100호,면장갑, 미끼(청개비,오징어,크릴) 등
*선사 대여 : 전동릴,(1만원),낚시대(1만원),쿨러(1만원-입항후 스티폼박스1개 제공)
*선사 제공 : 2식&야식or조식(연도권은 상황따라 변경될수있음),음료,물,라면,커피,얼음 등
*선사 판매 : 외줄카드, 봉돌(추), 오징어 등 (청개비,미꾸라지는 개인지참 - 예약시 주문가능)
*참조 사항 : 미끼(청개비) 인당 500g 이상, 카드채비 15개, 추(봉돌) 15개 이상 권장
1권역 -> 연도,작도,간여,금오 (연도권)
2권역 -> 거문,삼부,백도,역만 (원도권)
3권역 -> 황제,청산,여서,사수 (원도권)
*[셔틀버스 운영중]편안히 오세요^^
- 서울,경기 방향 : 월,수,금 정기운행
- 대전,충청 방향
- 부산,경남 방향
☎ 셔틀버스 문의 : 점장 010-6683-4490
▣ 준수 사항 [생활화하는 낚시인이 됩시다^^]
- 신분증 반드시 지참 (미지참시 승선불가)
- 승선시 구명조끼 반드시 착용
선내 구비(해상안전사고 예방을 위해 필수착용)
- 선내 음주 불가
- 멀미약은 개인지참
(약사법위반"공문송달"으로 부득히 제공 불가)
▣ 예약 및 자리배정
- 예약을 미리하는 센스!!! 선입금 하는 매너!!!
- 자리청탁은 받지 않겠습니다.
- 자리 배정 : 뽑기 원칙입니다.
2일이상 장기 우선자리 배정
5인이상 단체 우선순입니다.
(1~5, 6~10 일렬 한줄 배정 원칙)
▣ 마린피싱 안내
☎ 출조.예약문의 : 점장 010-6683-4490
* 주소(네비) : 전남 여수시 소호2길 10(소호동)
*계좌번호 : 수협 2010-0863-4455 예금주 : 박종일
*홈페이지 : http://www.marinfishing.com
*네이버밴드: https://band.us/@marin
댓글목록
등록된 댓글이 없습니다.








